
HMS Protector scans active underwater volcanoes on Antarctic edge for tsunami research

Royal Navy personnel are helping scientists warn of potentially catastrophic tsunamis by researching huge underwater volcanoes on the edge of Antarctica.
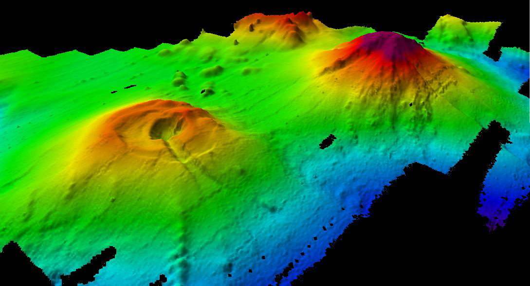
Navy icebreaker HMS Protector has used her state-of-the-art sensors to scan peaks in the South Sandwich Islands – one of the world’s most remote territories.
Active volcanoes off Zavodovski Island rise hundreds of metres above the seabed and have multiple seismic events each year.
- Mission accomplished for Inspire 22 – Antarctica's largest medical expedition
- HMS Enterprise completes Arctic research mission
- HMS Prince of Wales visits remote island in Arctic Ocean
Underwater eruptions could trigger a landslide and, in turn, a tsunami, with destructive consequences.
The British Antarctic Survey (BAS) research station on South Georgia, 375 miles away, had to be evacuated in August 2021 due to one such wave, the Navy said.
The volcanic chain was last surveyed by BAS – with whom the ice patrol ship regularly works.
The data the vessel gathers will be used by BAS and University of Plymouth scientists to analyse the stability of the volcanoes' flanks and check for signs of 'mass wasting' – huge amounts of sediment shifting which could set off tsunamis and impact people in the southern hemisphere.
The project's lead scientist, Dr Jenny Gales, Lecturer in Hydrography and Ocean Exploration at the University of Plymouth, said: "We need to understand the origin and wider significance of mass wasting in the South Sandwich Islands.
"This is important because mass wasting events on volcanic islands represent some of the largest sediment flux events on Earth. The levels of past activity in this particular region show they are a significant geohazard, with the potential to trigger tsunamis."

Lieutenant Commander James Winsor, HMS Protector's senior survey officer, said he was impressed by how the vessel's sonars and software scanned a clear picture of underwater mountains or seamounts: "The undersea peaks of these volcanoes rise up from depths of 2,000 metres to 90 metres in waters scarcely charted to modern standards."
As well as helping the BAS scientists, the information collected by Protector will also enable seafaring charts to be updated to the latest standards.
Having finished her work in the South Sandwich Islands, the icebreaker moved to exploring South Georgia – the most southerly inhabited British territory on earth.
It is home to a small team running the island's museum, post office, administration and BAS base.
HMS Protector's football team took on a select South Georgia XI on a pitch billed as the most southerly on the planet. It is also among the worst – uneven, unmown, boggy and with a goalmouth of gravel at one end.
Challenged by driving rain, snow and gale-force wind, the sailors lost to the home side.
Sailor Ray said: "Regardless of the score, it was about getting our people off the ship, enjoying themselves and creating an experience they can look back on with fond memories.
"We are very grateful to South Georgia's government for being such good hosts."








